Business & Data Analyst Making Business Decisions Easier With Analytics
I don't just build dashboards, I solve business problems with data. Two years at Quantiphi taught me that good analytics isn't about fancy models, it's about solving the right problem. I've built forecasting systems that changed how teams planned, automated reporting that gave people hours back in their day, and led teams delivering AI solutions to Fortune 500 clients.
What I actually do: Turn messy data into clear decisions. Whether it's R, Python, SQL, or Power BI, I focus on building analytics that leadership can act on, not dashboards that look good in meetings but sit unused.
I recently graduated with my MS in Business Analytics from Babson College, where my client work included building predictive models for GoDaddy's AI adoption and user research analytics. Looking for roles where data drives strategy, not decoration. If you need someone who can build the analysis and explain why it matters, let's talk.
Python
Microsoft SQL Server
MySQL
Jira
Azure DevOps
Asana
Amazon Web Services
Google Cloud Platform
Microsoft Power Bi
Tableau
GCP - Vertex AI
SAS Studio
Microsoft Office Suite
Google Workspace
Comprehensive Power BI dashboard analyzing sales performance, customer insights, and business metrics for Adventure Works company.
Advanced analytics and KPI tracking for Adventure Works with interactive visualizations and trend analysis.
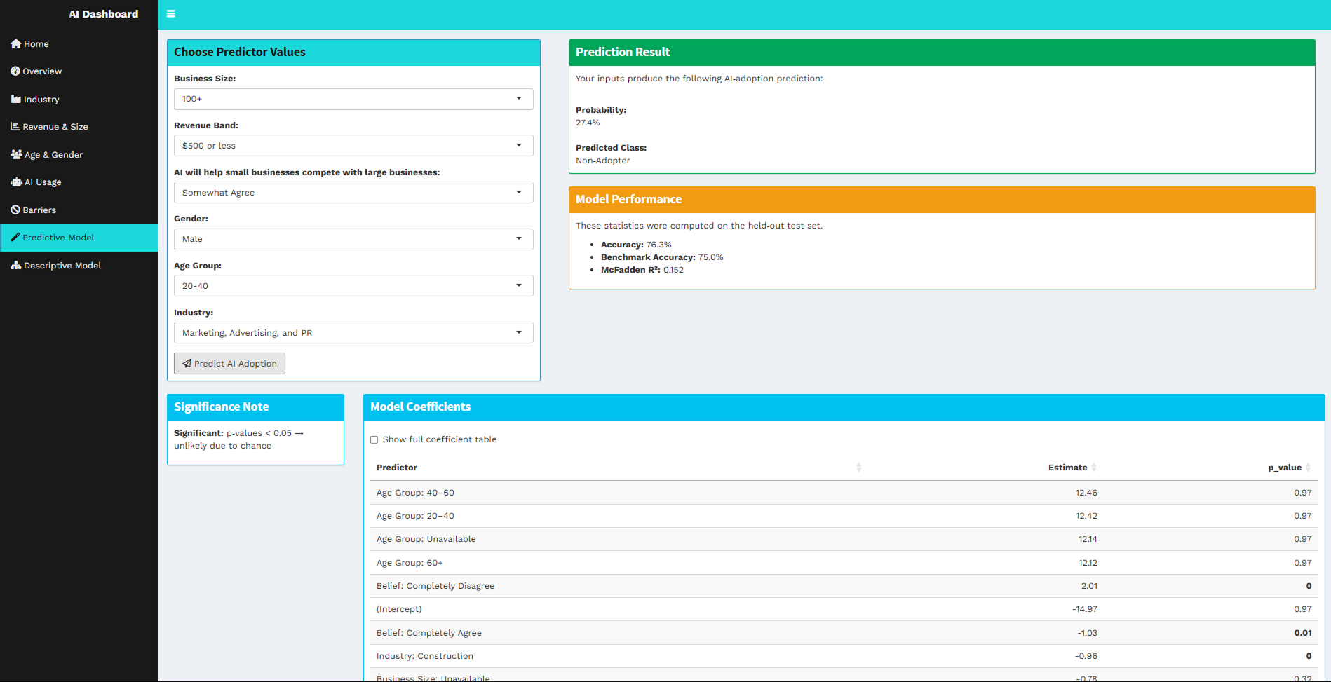
R-powered dashboard tracking AI adoption trends across industries with predictive analytics and forecasting models.
Detailed analysis of AI implementation patterns, adoption rates, and industry-specific insights using advanced R analytics.
Comprehensive trend analysis and predictive modeling for AI adoption across different sectors and regions.
Strategic insights and recommendations based on AI adoption data analysis and machine learning models.
Executive summary dashboard with key findings, recommendations, and future projections for AI adoption trends.













Ready to collaborate on your next data project?